Brothers Volcano
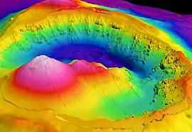
The Brothers Volcano is a Pacific Ocean submarine volcano in the Kermadec Arc, 340 kilometres north east of New Zealand's Whakaari/White Island. Within its oval outline, which measures 13 km by 8 km, it contains a 3 km wide caldera with walls 300-500 m high. It is three times bigger than the White Island.[1] A dacite (dacite lava's viscosity is in between rhyolite and andesite[1]) dome rises 350 m from the caldera floor (which lies 1850 m below sea level), with a smaller dome just to its northeast.[2]
| Brothers Volcano | |
|---|---|
![]() Brothers Volcano as looking into the caldera from the south | |
| Summit depth | 1,350 m (4,430 ft) |
| Location | |
| Coordinates | 34.875°S 179.075°E |
| Geology | |
| Type | Submarine volcano |
| Last eruption | Unknown |

The caldera walls and the larger dome host numerous hydrothermal vents, which send plumes of hot water 750 m up through the water column. It is the most hydrothermally active volcano known in the Kermadec Arc.[2] These hydrothermal vents are also known as hot springs and have created an 8 meter high field of "black smoker" chimneys.[3] These chimneys are created when the hydrothermal fluids hit the cold water and the chemicals in solution are deposited.[1] The hydrothermal fluids are an energy source to many unique species of organisms like tubeworms and bacteria.[3] The marine life and minerals found from these chimneys are beneficial to New Zealand's economy and biotechnology industry.[1]
The volcano was created by subduction of the Pacific Plate under the Australian Plate.[1] It is still unknown when the Brothers Volcano last erupted, but the crater walls tell us that its last eruption was so explosive that it caused the volcano to blow out a caldera.[3] A joint expedition by the United States, New Zealand and Germany mapped the volcano in detail in 2007.[4]
Monitoring
Submarine volcanoes are not monitored by any organization, but have become a central interest in current expeditions.[1]
References
- "Volcano Fact Sheet: Brothers Volcano" (PDF). Learning on the Loop. Archived from the original (PDF) on 21 December 2016. Retrieved 27 October 2016.
- "Brothers Volcano". GNS Science. 19 December 2009. Archived from the original on 28 February 2011. Retrieved 21 March 2010.
- "Brothers Volcano". GNS Science. 25 November 2013. Archived from the original on 28 February 2011. Retrieved 27 October 2016.
- Gregory, Angela (17 August 2007). "Photo: Seabed volcano in all its glory". The New Zealand Herald. Retrieved 21 March 2010.
- de Ronde, C. E. J., et al. (2005). Evolution of a Submarine Magmatic-Hydrothermal System: Brothers Volcano, Southern Kermadec Arc, New Zealand, Economic Geology, 100(6), 1097–1133. doi:10.2113/100.6.1097.
- "Brothers". Global Volcanism Program. Smithsonian Institution.
