Sherwood Forest, Atlanta
Sherwood Forest is an intown neighborhood of Atlanta, Georgia, bordered by the Ansley Park neighborhood on the south and east, and on the northwest by the Downtown Connector across which is the Brookwood Hills neighborhood. It was established in 1949. It is one of the most affluent neighborhoods of the city with an average single-family home price of $951,376 in 2008.[1]

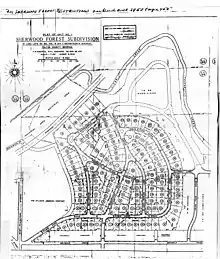
Original 1949 plat of Sherwood Forest
Sherwood Forest | |
|---|---|
Neighborhoods of Atlanta | |
| Country | United States |
| State | Georgia |
| County | Fulton County |
| City | City of Atlanta |
| NPU | E
location= Atlanta, Georgia built =1949 |
| Population (2008)[1] | |
| • Total | 865 |
References
- "Sherwood Forest neighborhood in Atlanta, Georgia (GA), 30309 subdivision profile". City-data.com. Retrieved 15 October 2017.
External links
This article is issued from Wikipedia. The text is licensed under Creative Commons - Attribution - Sharealike. Additional terms may apply for the media files.